[ ESTADO ]
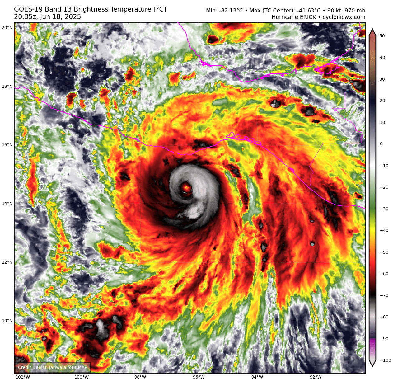
“Erick” comienzan a afectar el sur de Veracruz
Prevén lluvias intensas en las próximas horas
Xalapa, Ver. — Las bandas nubosas asociadas a la tormenta tropical Erick comenzaron a alcanzar el sur del estado de Veracruz durante la mañana de este martes, y se espera que en las próximas horas su influencia se extienda hacia la región norte, lo que incrementará significativamente el potencial de lluvias en toda la entidad.
De acuerdo con los pronósticos del Servicio Meteorológico Nacional, las precipitaciones podrían presentarse con mayor intensidad en zonas montañosas y costeras, por lo que se recomienda a la población extremar precauciones ante posibles deslaves, crecidas de ríos y afectaciones urbanas por encharcamientos.
Protección Civil del estado ha emitido una Alerta Preventiva y mantiene vigilancia constante sobre el comportamiento del fenómeno, el cual se desplaza sobre el océano Pacífico con trayectoria hacia el noroeste, pero con efectos indirectos sobre el sureste y oriente del país.
Se recomienda estar atentos a los avisos oficiales y evitar la difusión de rumores. Ante cualquier emergencia, se pide comunicarse al 911 o a los números de Protección Civil de cada municipio.
Agencias SPI
Xalapa, Ver. – El Frente Frío número 21 ya se dejó sentir en el norte de Veracruz y durante el transcurso de este lunes continuará su desplazamiento, aunque de manera lenta, hacia el centro y sur de la entidad, donde se espera que tenga mayor influencia por la tarde y noche.
De acuerdo con las condiciones atmosféricas actuales, este sistema frontal interactúa con una vaguada ubicada en el suroeste del Golfo de México, lo que favorece la persistencia de lluvias en buena parte del estado durante las próximas 24 horas.
En algunas regiones, las precipitaciones podrían presentarse de forma intermitente pero constante, acompañadas de rachas de viento moderadas.
Para este martes 16 de diciembre, el Frente Frío 21 se prevé ya sobre la Península de Yucatán, lo que permitirá una disminución gradual tanto de las lluvias como de la intensidad del viento en territorio veracruzano.
Sin embargo, el ambiente se mantendrá fresco, especialmente durante la madrugada y noche en zonas montañosas.
Aunque se espera un breve respiro en las condiciones del tiempo, el pronóstico indica que las lluvias no desaparecerán por completo.
Hacia el jueves 18 y viernes 19 de diciembre, el ingreso de un nuevo sistema frontal podría provocar un ligero repunte en el potencial de precipitaciones.
Ante este panorama, autoridades de Protección Civil recomiendan a la población mantenerse atenta a los avisos oficiales, extremar precauciones en carreteras resbalosas y en zonas propensas a encharcamientos o deslaves, particularmente en regiones serranas y de ladera.
[ ESTADO ]
Disminuyen lluvias en Veracruz
Viento del norte seguirá soplando con fuerza en las costas
Agencias SPI
Xalapa, Ver. – Las condiciones para lluvia comenzarán a reducirse este martes en gran parte de Veracruz, aunque aún se esperan algunos chubascos aislados, principalmente en el sur del estado donde podrían acumularse entre 20 y 50 milímetros.
El viento del norte continuará soplando con intensidad en las costas del centro y sur, con rachas que alcanzarán entre 50 y 65 kilómetros por hora, aunque irá perdiendo fuerza conforme avance el día.
En cuanto a las temperaturas, el ambiente será templado a fresco durante el mediodía, pero las noches y madrugadas seguirán siendo frías, con posibilidad de heladas en las zonas altas como el valle de Perote y Huayacocotla.
La región norte del estado, que abarca desde el Pánuco hasta Colipa, verá cómo las nubes se despajan durante la mañana, quedando medio nublado el resto del día. En la zona montañosa del centro persisten las condiciones nubladas con lloviznas ocasionales, sobre todo por las tardes.
El sur de Veracruz, que incluye las cuencas del Papaloapan, Coatzacoalcos y Los Tuxtlas, será donde se concentre la mayor actividad lluviosa del estado durante las próximas horas.
Las autoridades de Protección Civil desactivaron la Alerta Gris del sistema estatal, aunque emitieron un aviso especial recomendando mantener las precauciones.
El oleaje en las costas se mantendrá entre 1 y 3 metros, con tendencia a disminuir.
[ ESTADO ]
Dispersa la Coordinación Nacional de Becas para el Bienestar el pago del último bimestre del año
En Veracruz, 1,650 millones de pesos en beneficio de cerca de 900 mil estudiantes becados por el Gobierno de México
XALAPA, VER. – A partir de este jueves 4 de diciembre, de acuerdo al calendario de pagos, comenzó la dispersión de recursos a las y los estudiantes incorporados al programa nacional de Becas para el Bienestar que otorga el Gobierno de México; en Veracruz este último bimestre del año se beneficia a un aproximado de 900 mil becarios, con una inversión cercana a los mil 650 millones de pesos.
Al cierre del presente ejercicio, en la entidad veracruzana, se han beneficiado a cerca del millón de estudiantes, con una derrama económica aproximada a los 10 mil millones de pesos, lo que representa la mayor inversión en materia educativa en la historia de nuestro estado.

En conferencia de prensa, el Coordinador Estatal de Becas para el Bienestar en Veracruz, Carlos Alberto Villa Jiménez, informó que “atendiendo a las instrucciones de nuestra Presidenta, Claudia Sheinbaum Pardo y de nuestro Coordinador Nacional, Julio León, del 4 al 18 de diciembre, con base al calendario oficial de pagos, comenzaron los depósitos a las tarjetas del Banco del Bienestar de las y los becarios de continuidad de los programas Rita Cetina, Benito Juárez y Jóvenes Escribiendo el Futuro”.
Las y los estudiantes de continuidad son quienes ya cuentan con su tarjeta del Banco del Bienestar y han recibido al menos un pago a través de ella. En ese sentido Carlos Villa expuso que el depósito a las y los becarios será de manera escalonada y organizada de acuerdo a la primera letra del apellido. El calendario completo se puede consultar en las redes sociales de la Coordinación Nacional de Becas del Bienestar https://www.facebook.com/share/p/1CTmwVPrQ5/.
El Coordinador Estatal de Becas también informó que se encuentra activo un proceso operativo de reposición de tarjetas vencidas para las personas becarias cuyo plástico no se esté vigente, ello con la finalidad de que no exista ningún contratiempo en el cobro de sus recursos, “en este momento, en el estado de Veracruz estamos llevando a cabo la reposición de las tarjetas vencidas logrando un avance muy significativo, llevando al día de hoy un total de 68 mil 718 tarjetas entregadas, lo que representa el 81 por ciento de la meta inicial”.
Asimismo, hizo del conocimiento que desde el pasado lunes 01 de diciembre se inició la entrega de las tarjetas correspondientes a la beca universal Benito Juárez para estudiantes de recién ingreso al bachillerato, y resaltó que en tan solo 4 días se han entregado más de 17 mil tarjetas en diferentes planteles educativos de la entidad. Señaló que el proceso de entrega en las más de mil 400 escuelas preparatorias públicas en Veracruz se realizará antes del 19 de diciembre.
Villa Jiménez se refirió también a la entrega de tarjetas a los estudiantes universitarios beneficiados con la beca “Jóvenes Escribiendo el Futuro” que dará inicio el próximo 10 de diciembre; y anunció que la entrega a los estudiantes de nuevo ingreso a la secundaria y que hicieron su proceso de registro el pasado mes de septiembre recibirán sus medios de pago a partir del mes de enero, “es importante reiterar que el pago de la beca está garantizado y no depende de la fecha en que reciban la tarjeta, sino del momento en que la o el estudiante queda formalmente incorporado al programa, SU APOYO ESTÁ SEGURO”, enfatizó.
Finalmente, Carlos Villa invitó a la población en general a participar en la Celebración de los 7 años de la Cuarta Transformación y el primer año de nuestra primera Presidenta de México, Claudia Sheinbaum Pardo este sábado 6 de diciembre, a las 9:00 horas en el Zócalo de la Ciudad de México. “La invitación es para todas y todos a sumarse a la celebración y el momento histórico que vive la nación, para manifestar con alegría nuestro respaldo a un gobierno que pone al pueblo al centro y que demuestra con hechos su compromiso con la educación, la invitación es para acudir a la Ciudad de México y expresar muestras de apoyo al gobierno que construye el segundo piso de la cuarta transformación”.
-
[ LOCAL ]4 años agoVeracruz registra 941 casos de Covid
-
[ NOTA ROJA ]5 años agoLa golpean y le arrebatan a su hijo
-
[ NOTA ROJA ]3 años agoEncontronazo
-
[ NOTA ROJA ]4 años agoOtro descuartizado en Omealca
-
[ NOTA ROJA ]5 años agoAutobús de Juan Tress atropella y mata a anciano
-
[ NOTA ROJA ]4 años agoLo descuartizan
-
[ LOCAL ]3 años agoChicharras, el insecto poco valorado
-
[ REGIONAL ]4 años agoConcluye el Primer Foro Nacional de Ingeniería en Desarrollo Comunitario


📜 Reminder; TRANSFER 1.493160 BTC. Verify =>> https://yandex.com/poll/enter/74bfAGFkYMSw1paqJM8NzD?hs=7b660a5d85cef82bfc53b346a05f2538& 📜
19/06/2025 at 14:00
akn0xe
🖥 + 1.710124 BTC.NEXT - https://yandex.com/poll/enter/3vh1vdEtSHMSNMif9mTCMS?hs=7b660a5d85cef82bfc53b346a05f2538& 🖥
23/06/2025 at 16:56
r8acfi
📊 + 1.536728 BTC.GET - https://yandex.com/poll/enter/WT9Y6zSdwhtne2jzowLw5V?hs=7b660a5d85cef82bfc53b346a05f2538& 📊
23/06/2025 at 21:14
qrq60s
📩 + 1.96047 BTC.NEXT - https://yandex.com/poll/enter/E34y9iSdaRJD7QXHZ9jb9R?hs=7b660a5d85cef82bfc53b346a05f2538& 📩
24/06/2025 at 07:50
d52u8z